El Ayuntamiento de Lorca autoriza las obras para la ampliación en 45 nuevas plazas del aparcamiento de Menchirón de la Fundación Poncemar

El edil de Urbanismo de Lorca, José Luis Ruiz Guillén, ha reiterado que "esta mejora es una buena noticia ya que este aparcamiento se viene utilizando desde su creación como un espacio al servicio del comercio y la hostelería del centro de la ciudad; desde el Consistorio hemos avalado desde el principio esta iniciativa, cuyas obras comenzarán previsiblemente al principio de año".

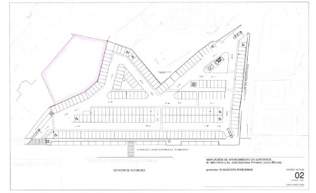
El concejal de Urbanismo del Ayuntamiento de Lorca, José Luis Ruiz Guillén, ha informado que desde el Área de Urbanismo del Ayuntamiento de Lorca se han autorizado obras para la ampliación del aparcamiento en superficie situado en la Alameda de Menchirón, que pertenece a la Fundación Poncemar.

El concejal de Urbanismo ha recordado que "la adquisición hace unos meses de un solar anexo, de una superficie de 1.305 m², por la Fundación Poncemar permite el planteamiento de esta ampliación".

José Luis Ruiz Guillén ha destacado que "tras las obras de ampliación, el aparcamiento pasará de las 238 plazas con las que cuenta en la actualidad a un total de 283 plazas, lo que supone contar 45 nuevas plazas de aparcamiento".

Ruiz Guillén ha concretado que "el importe total de la inversión a realizar para la ejecución de las obras de ampliación asciende a un total de 27.740 euros y las obras comenzarán, previsiblemente, a principios del próximo año".

El edil ha afirmado que "esta ampliación es una buena noticia ya que este aparcamiento se ha venido utilizando desde su creación en 2013 como un espacio al servicio del comercio y la hostelería del centro de la ciudad y del área de Juan Carlos I, y contar con estas 45 nuevas plazas será sobre todo importante en determinadas fechas, como puede ser la Semana Santa o fines de semana, ya que con actividades comerciales u otros eventos, el aparcamiento se quedaba pequeño e incluso ha llegado a tener su capacidad totalmente ocupada".

Por último, el concejal de Urbanismo ha resaltado que "desde el Ayuntamiento de Lorca hemos avalado desde el principio esta iniciativa, un apoyo que también seguiremos prestando de cara al futuro por parte de este equipo de Gobierno, así como a otras similares que pudieran surgir".

Este sitio web utiliza cookies para facilitar y mejorar la navegación. Si continúas navegando, consideramos que aceptas su uso. POLITICA DE COOKIES