Los vecinos del residencial Miguel Ángel ceden al Ayuntamiento las vías públicas de su propiedad

para que sean mejoradas junto a la renovación de Santa Clara

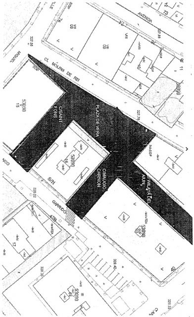
La Junta de Gobierno Local ha aceptado el pleno dominio de los 2.370 m2 espacios no edificados sobre rasante que hasta ahora estaban siendo utilizados por la ciudadanía pero que pertenecían a la comunidad de propietarios. De esta forma una plaza y tres calles peatonales se incluirán en el proyecto que ejecutará la Consejería de Fomento por valor de 2,7 millones de euros.

La Portavoz del Ayuntamiento de Lorca, Belén Pérez, ha informado que la Junta de Gobierno Local ha aceptado la cesión de pleno dominio de los espacios no edificados sobre rasante que hasta ahora estaban siendo utilizados por la ciudadanía pero pertenecían a la comunidad de propietarios de la urbanización Miguel Ángel.

Pérez ha informado que "como el objetivo de este Equipo de Gobierno y de la Comunidad Autónoma es transformar toda Lorca, sin dejar ningún rincón sin mejorar, llevamos meses de conversaciones con los vecinos para poder incluir en la reforma de la Avenida Santa Clara y su entorno los 2.370,3 m2 de superficie sobre rasante de la Plaza Vera y las calles peatonales Saint Fons, Maugio Carnon y Wilaya del Aaiun, que eran de su propiedad".

Finalmente, el 23 de diciembre los vecinos comunicaron a este Ayuntamiento su acuerdo unánime de ceder el suelo, el vuelo y el subsuelo, comprendido éste entre la cara superior del forjado de techo de la primera planta de sótano y el pavimento del suelo, de los espacios no ocupados sobre rasante de las citadas vías.

La portavoz municipal ha subrayado que "el acuerdo de hoy permite la adquisición sin coste por el Consistorio del indicado espacio con carácter de bien de dominio y uso público conforme a su destino actual. De esta forma, el ayuntamiento ya tiene a su disposición todos los terrenos contemplados en el convenio rubricado con la Consejería de Fomento e Infraestructuras de la Comunidad Autónoma para poder ponerlos a disposición del Gobierno Regional con el fin de que este puedan iniciar los trámites de contratación del proyecto y obra de la citada arteria de la ciudad y sus calles adyacentes, que está valorado en 2,7 millones de euros".

Contratación del servicio de la Escuela Municipal de Música

Belén Pérez ha indicado que "la Junta de Gobierno también ha aprobado hoy la adjudicación del contrato relativo al servicio complementario para el desarrollo, ejecución y funcionamiento de la programación de la Escuela Municipal de Música, por importe de 30.991,73€". En este sentido, hay que recordar que se ha incrementado la oferta que presta este servicio municipal, con la introducción de la nueva especialidad de cante flamenco y en la actualidad se imparte formación musical a unos 400 alumnos en el edificio de reciente construcción de Sutullena, con las asignaturas de canto, guitarra, piano, saxofón, percusión, oboe, flauta, clarinete, trompeta y tuba, así como violín y viola, además de coro desde 12 años, música y movimiento para alumnos de 4,5 y 6 años, preparatorio para lenguaje musical para los de 7 años, así como lenguaje musical, para mayores de 13 años.

Este sitio web utiliza cookies para facilitar y mejorar la navegación. Si continúas navegando, consideramos que aceptas su uso. POLITICA DE COOKIES